Bait to Plate

Kev Collins

Well known Restauranter and co-owner of Fish D'vine & The Rum Bar in Airlie Beach. When Kev's not working he's out fishing in the amazing food bowl of the Whitsundays and Great Barrier Reef Marine Park or in his tinnie in the estuaries crabbing! His blog imparts wisdom, tales and info on all things fishing and food.

The boats in and menu is set

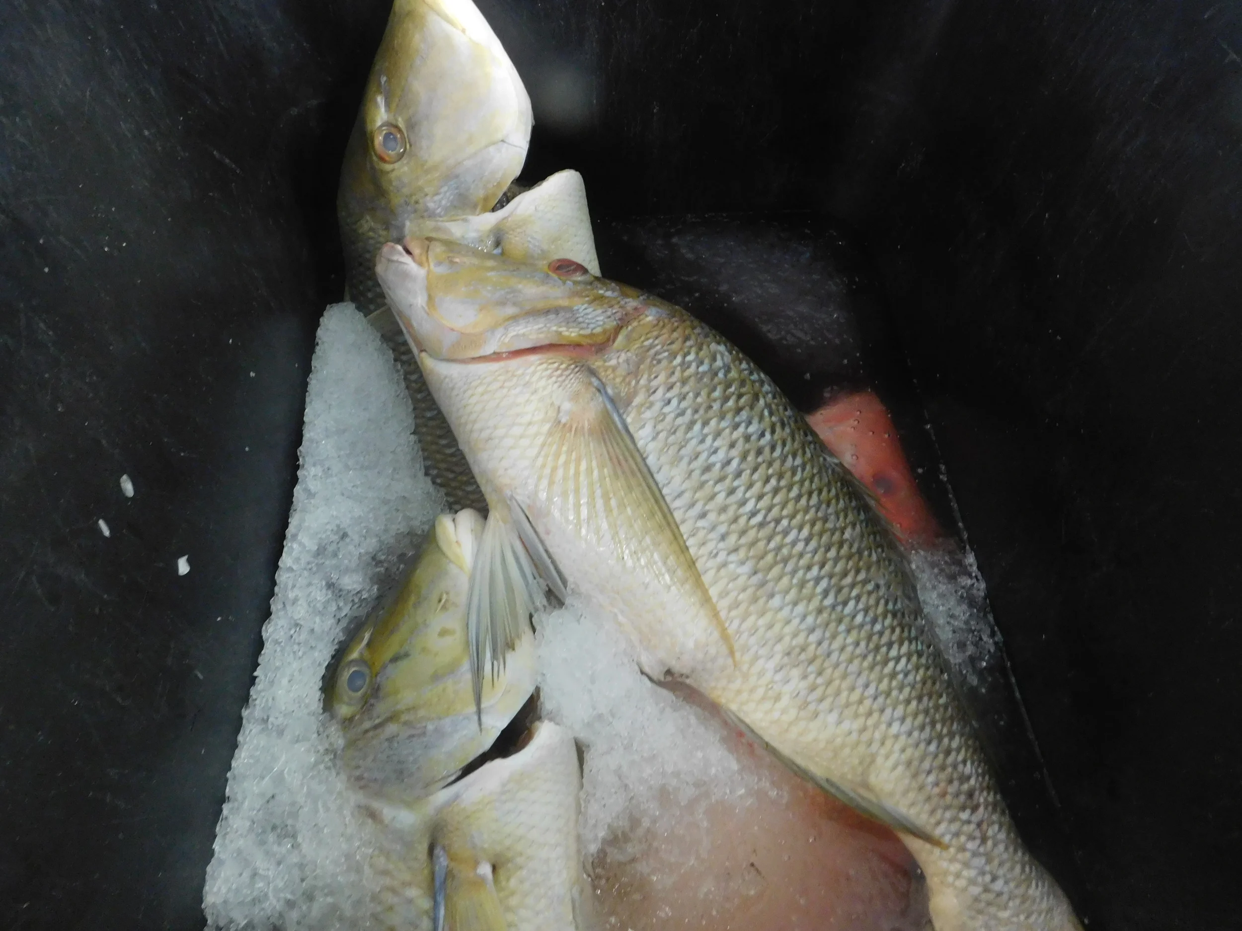
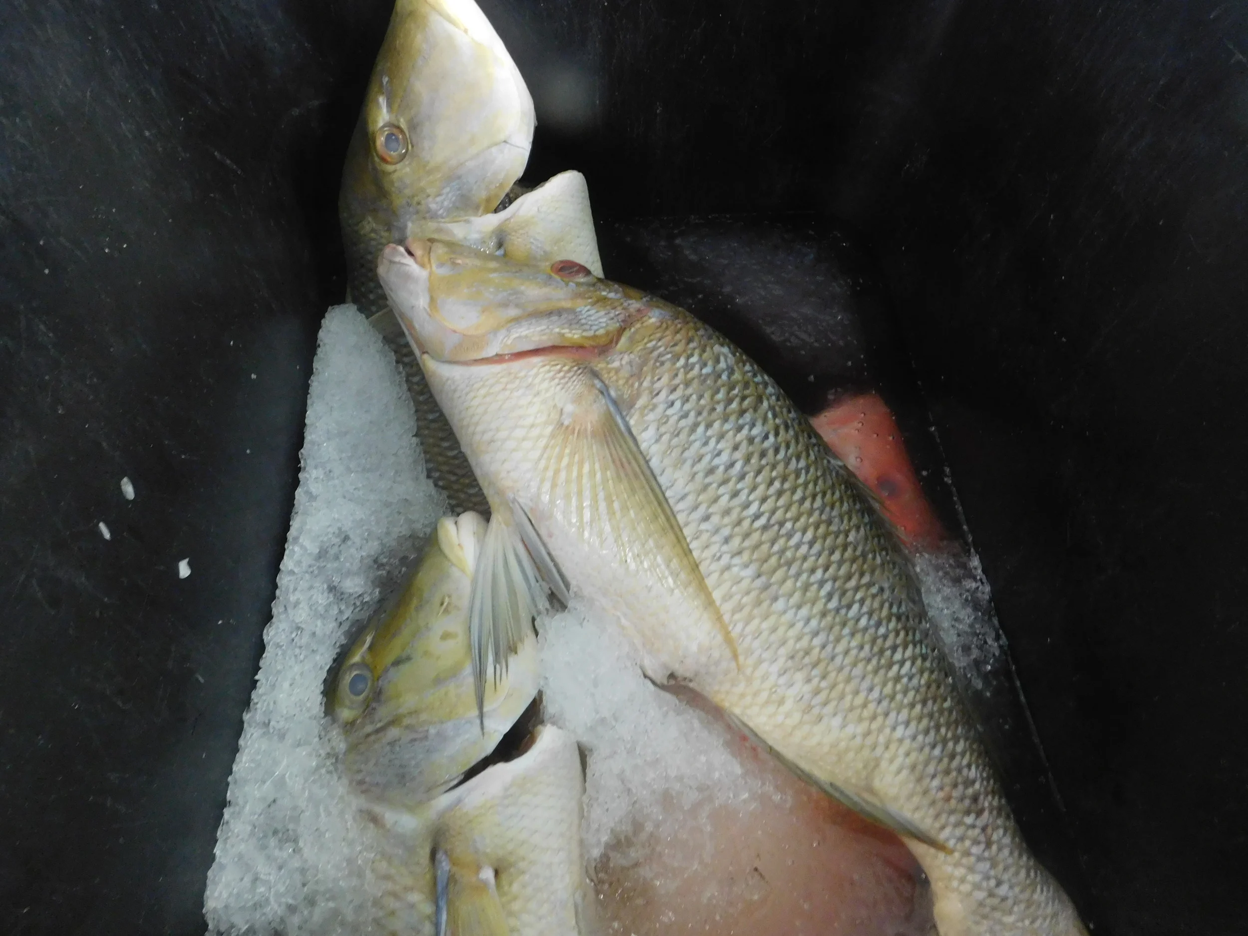
A nice chilly morning to be snooping around a cold room picking out the best of yesterday’s catch, but well worth the effort, and the menu has now taken shape. As our regional food culture grows, we like to know more and more about the providence of our food, and like interacting with passionate suppliers, we have seen the growth of boutique supplier’s right through the area.

While supermarkets still get the bulk of the business it is great to see the likes of Stewart Drive butchers kicking goals, the Prickly Pineapple working direct with local growers and seafood outlets like Matt at Whitsunday Seafood’s in Carlo Drive offering direct boat to consumer service with staff who actually know about the fish, where it comes from, how it was caught and by which commercial fisherman.

It is far, far removed from the “imported and thawed for your convenience” product in the supermarket windows, served by staff, who, while friendly and professional, have no vested interest in the providence of the seafood they are selling.

I am very proud that our company deals with all these boutique suppliers and the menu presented is a combination of the very best I could source locally and even some basil from my own garden. If you’re a shopper and really want to know about what it is you are putting on the table, do yourself a favour and start shopping with these boutique suppliers for some of your shopping. What you think might be time consuming and inconvenient will fast become a pleasure, dealing with people who love what they have to sell and not being shoved into an impersonal automated check-out.

The Menu for Sunday lunch

Course 1.

Char Grilled Red Claw Crayfish. Green Pawpaw, coriander and chilli Salad w/ crispy fried Kaffir Leaves.

Using Local grown Red Claw from Eungella, Green Pawpaw salad from Pawpaw’s we buy at the markets every Saturday and some lime leaves from the Prickly Pineapple. I will have a cray pot and give some tips on how to catch these tasty fresh water crays in Proserpine dam.

Course 2.

Grilled Largemouth Nannygai & Small Mouth Nannygai on roasted tomato sugo and lime hollandaise

Try the 2 local nannygai side by side and compare. They are same family but miles apart in flavour and texture. The large Mouth Nanny is also marketed as crimson snapper and saddle tail, while the small mouth nanny is also (and usually) marketed as ruby emperor. A rose by any other name these are both delicious and simply cooked to allow their flavours to shine.

Course 3.

Moroccan tagine of Red Emperor w/ Chickpeas, Bay Leaves and saffron

This dish, a version of which was the star of the show at my first bait to plate lunch needs a good dense flaky white fish and red emperor is perfect. It is also a chance to showcase the fresh locally grown bay leaves I found at “The Pineapple” today.

Course 4.

Char Grilled Spanish Mackerel Steak with Vine Ripened Bowen Tomatoes & Smoked Garlic & Basil Pesto sauce

Nothing goes better with fish that fresh, vine ripened, room temperature tomatoes and nothing goes with tomatoes like basil. Add in some of the smoked garlic, some good olive oil and a grind of black pepper and this is as good a fish dish as I will ever cook. I will make the pesto fairly runny, more a sauce than a dip.

Course 5 .

Steamed Garlic & Ginger Coral Trout

Ginger from west of Bowen, fresh and bright, not the dry sad supermarket variety marries with steamed Coral trout like nothing else. We will glaze with some smoking hot sesame oil just as it leaves the kitchen and serve on some steamed bok choy.

Course 6.  

Panko crumbed, pan fried Red Throat Emperor w/ retro crunchy potato gems and Zesty lemon mayo.

This is a great fish and panko crumbs have become the only crumbs I ever use at home these days. We will tizzy them up, I will talk the recipe and “potato gems” are just a blast from the past. I remember them fondly from my childhood and only recently rediscovered them in the supermarket last year. There is now always a packet (or 2) in my freezer at home because I am addicted to them. A tray in a hot oven for 10 minutes has become a go too snack after a long night at work. Probably not much good for the diet but who cares. Nothing has calories on a Sunday anyway.

Course 7.

Lemon curd tart

Just because last time we needed a dessert and what else should we have after fish but something lemony.